Baerz & Co is een landelijk samenwerkingsverband van zorgvuldig geselecteerde boutique luxury makelaars. Samen vormen wij één netwerk, met één gedeeld aanbod. De woningen die u op onze website ziet, zijn afkomstig van alle aangesloten kantoren binnen Baerz & Co. Daardoor is niet ieder object rechtstreeks door ons kantoor in verkoop, maar door een gespecialiseerde collega binnen ons netwerk. Heeft u een woning gevonden die u aanspreekt en wilt u meer informatie? Dan brengen wij u graag persoonlijk in contact met de betreffende verkoopmakelaar, zodat u direct en zorgvuldig wordt begeleid.

VORDEN
De Leuke 6 - 7251 LL
Netherlands

Marcel Schippers profile image
Marcel Schippers
Real Estate Agent
€1,895,000 k.k.
Living Area
407m2
Plot Size
2877m2
Bedrooms
5

Description

Monumental farmhouse Erve 't Norde - Idyllic living, with plenty of everything: space, history, sweeping views, nostalgic charm, and 45 solar panels

It was the northernmost farmstead in relation to Huis Vorden, which is how this beautiful place got its name. This idyllic T-shaped farmstead is nestled in the countryside between the hamlets of Linde and Mossel, close to the Baakse Beek stream, the charming center of Vorden, and the Vorden woods.

Abundance of space, natural beauty, and charm
't Norde is as impressive as it is beautiful; a classic, voluminous hall house T-shaped farmhouse from 1863, surrounded by a delightful garden. The house has had several predecessors on this site, with the oldest mention dating back to 1476. The current house, designated a municipal monument by the municipality of Bronckhorst, has been extensively modernized over the past decade. The structure was brought into the 21st century under architectural supervision, with the addition of dormer windows and the transformation of the barn into spacious living space. And nothing beats space around you: this house has an abundance of it, with a living area of 407 m², five spacious bedrooms, and three bathrooms, set on a plot of 2,877 m².

In the sunshine, the house shines out at you, with its fresh red tiles, neat joints, thatched roof (renovated in 2021), and beautiful woodwork covered in thick varnish. Despite its long history, Erve 't Norde is also completely up to date under the hood: the current residents have made the farm sustainable from top to bottom, with thick insulation, HR++ glass, 45 solar panels, and a super-efficient clay stove, making it ready for the next 163 years.

Every now and then, an Arriva train chugs by; this route (Zutphen-Winterswijk and back) is only used for electric trains. As a resident, you hardly notice it, but we warmly recommend that you come and experience it for yourself.

Vorden
By bike, you can quickly reach the charming center of Vorden, with its church square, elementary school, shops, bakery, butcher, greengrocer, and, of course, restaurants. Vorden is truly a gem in the heart of the Achterhoek region and is known as the village of eight castles. Cyclists, hikers, and vacationers can enjoy endless cycling and hiking trails here.

Vorden is located in the municipality of Bronckhorst, which was named Walking Municipality of the Year a few years ago, and the committee members were right to do so, because there is an incredible amount to discover here, on foot, by bike, or otherwise. And if you need the bustle of the city, Zutphen is the place to go. Places such as Lochem, Deventer (A1), and Doesburg are also within easy reach.

It is the perfect place for bon vivants and epicureans, all year round; in the fall, when the game season begins, the many restaurants in the area offer wonderful game menus. Life is good in and around Vorden!
Ground floor
The gravel driveway leads us to the barn. In the Achterhoek region, it is customary to enter the house from the rear, and the entrance is located at the back of the house, offering impressive views of the surrounding farmland. The classic layout has been preserved in the program, as the traditional front door is also located at the front. The hall, with its high ceilings, is sunny and spacious, and the floor is covered with traditional terracotta tiles, which are so typical of this region. The formal hall is decorated with black and white decorative tiles, which contrast beautifully with the fresh white walls and cream-colored woodwork. The hall provides access to the toilet and bathroom on the ground floor, the dining room, the basement, and the upstairs room, which is currently used as an office with a pantry but would also be perfect as a guest room.

The barn is a fantastic space: over 150 m² of living space, brimming with atmosphere and rural charm. The floor is covered with oak planks and the old trusses still stand proudly in the room. In the heart of the space is a beautiful clay stove. These stoves are loved for their efficient heating, because in addition to keeping the living room warm, they also heat the water. The barn doors—the opening is now filled with glass—have been moved back on the inside and are a reminder of the barn's former function, as this is where the cows used to stand.

On the garden side, in the front part of the house, are the cozy dining room and kitchen. Here, too, there is beautiful oak flooring. A modern tile stove with aqua blue glazed tiles easily keeps this space warm.

The kitchen, with its cozy upstairs room, perfectly matches the nostalgic look and feel of the house, but is surprisingly modern and fully equipped; a kitchen for foodies! The kitchen has cream-colored cabinets—there is plenty of storage space here—and a honed bluestone countertop. Cooking is done here on the extra-wide induction hob, and the built-in appliances are also top-notch, with a fridge-freezer, an extra-wide convection oven (90 cm, SMEG), and a dishwasher (Bosch). Underneath the upstairs room is the second storage cellar.

Upper floors
Five spacious bedrooms are located off the spacious and sunny landing, which has red oak plank flooring. The master bedroom has its own bathroom with a walk-in shower, toilet, and sink. The front part of the house also houses the laundry/utility room, with connections for the washing machine and dryer, the boiler and buffer tank, and a 120-liter boiler, as well as a practical storage room. Here you will also find the second bathroom, with double sinks, a spacious walk-in shower, and a toilet.

Outside
The house is surrounded by a beautiful garden. There is a shed with a carport and a lockable garden tool shed at the rear (with 39 solar panels on the roof - nicely out of sight), so the cars stay dry, as do the garden tools. There is also a second wooden outbuilding (with 6 solar panels on the roof), built in a rustic style with clapboard siding, old Dutch roof tiles, and sturdy trusses. The outbuilding offers space for parking two cars. Due to the orientation of the house, there is a lovely sun terrace behind the property. There are large lawns at both the front and rear, and privacy is guaranteed by the man-sized beech hedges.

In short
Erve 't Norde could well be your True North. Have you fallen head over heels for this delightful, spacious house? We would be delighted to take you on a viewing.

General:
Year of construction: 1863
Maintenance: Good
Insulation: Roof insulation, partial double glazing, attic floor insulation
Heating: Underfloor heating, radiators, and wood-burning clay stove
Location: On the outskirts of Vorden, 2 km from the center.
2 Outbuildings: For garden tools, storage, and parking space
Sustainability: 45 solar panels
Volume: 1,622 m³
Living area: 407 m²
Other indoor space: 18 m²
External storage space: 128 m²
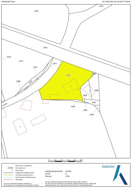
Plot size: 2,877 m²
Energy label: Not applicable due to monument status
Acceptance: In consultation

This property has undergone a structural survey.

Features

Solar panels
Transfer of ownership
Asking Price
€ 1.895.000 k.k.
Status
beschikbaar
Acceptance
in overleg
Construction
Kind of house
Woonboerderij
Building type
vrijstaande woning
Construction period
1863
Roof type
samengesteld dak
Bedrooms
5
Bathrooms
3
Surface Areas And Volume
Living Area
407 m2
Other indoor space
18 m2
External storage space
128 m2
Volume in cubic meters
1622 m3
Plot Size
2877 m2
Facilities
Mechanische ventilatie
Dakraam
Glasvezel kabel
Zonnepanelen
Natuurlijke ventilatie
Aan rustige weg
Beschutte ligging
Buiten bebouwde kom
Landelijk gelegen
Baerz & Co Property Brochure

Brochure

Videos

Floor Plans

de Haan Schippers Makelaars

Larenseweg 53
7241 CM Lochem

schippers@dehaanschippers.nl
+31 573 25 82 58

www.dehaanschippers.nl

Information / Viewing request

Marcel Schippers profile image
Marcel Schippers
Real Estate Agent

Buying a Luxury Property in Vorden

Vorden offers distinguished property, a welcoming community, and refined services. Its heritage, landscape, and connections attract sophisticated buyers seeking private, elegant living with lasting value.